Aufstellung
des vorhabenbezogenen Bebauungsplans Nr. 99 „Zwischen Richard-Wagner-Straße und
Deidesheimer Weg“
hier: Bekanntmachung des
Aufstellungsbeschlusses und der öffentlichen Auslegung des
Bebauungsplanentwurfes
I. Änderungsbeschluss
Der Rat der Gemeinde Haßloch hat in seiner
Sitzung am 14.12.2017 gem. § 2 Abs. 1 BauGB die Einleitung des Verfahrens zur
Aufstellung des vorhabenbezogenen Bebauungsplans Nr. 99 „Zwischen
Richard-Wagner-Straße und Deidesheimer Weg“ beschlossen. Der Bebauungsplan soll
die bauplanungsrechtlichen Voraussetzungen zum Bau von drei Mehrfamilienhäusern
auf dem Flurstück Nr. 3406/31 zwischen Richard-Wagner-Straße und Deidesheimer
Weg schaffen. Der Bebauungsplan soll im beschleunigten Verfahren gem. § 13 a
BauGB ohne Durchführung einer Umweltprüfung nach § 2 Abs. 4 BauGB aufgestellt
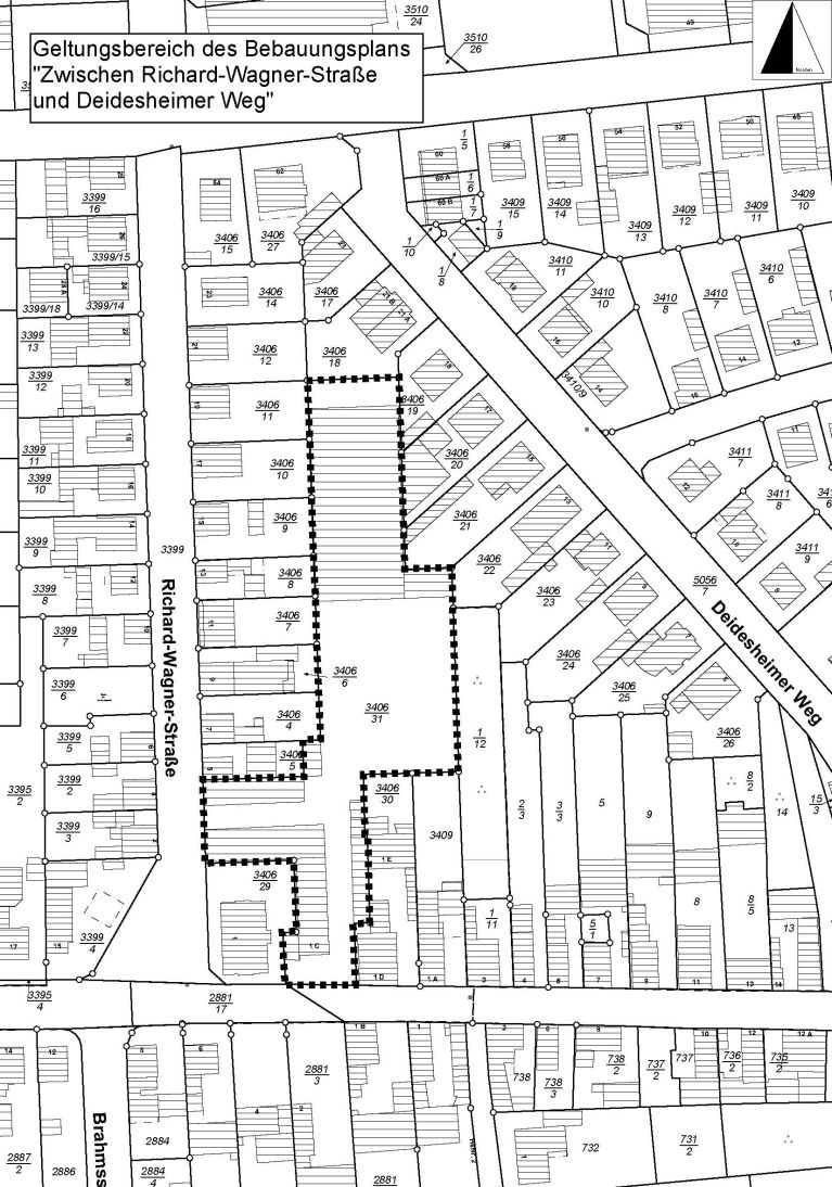
werden. Die Grenzen des Geltungsbereiches sind dem nachfolgend abgedruckten
Ausschnitt aus der Automatisierten Liegenschaftskarte zu entnehmen.

II. Öffentliche Auslegung
des Bebauungsplanentwurfes
Die Öffentlichkeit kann sich über die
allgemeinen Ziele und Zwecke sowie die wesentlichen Auswirkungen der Planung
unterrichten und sich zur Planung äußern. Zu diesem Zwecke kann der Planentwurf
mit Begründung von
Freitag, den 16.03.2018 bis einschließlich Montag, den 16.04.2018
in der Bauverwaltung, Rathausplatz 1, 2. OG, Zimmer 208 zu folgenden Zeiten eingesehen werden:
Montag bis
Donnerstag: 08:30 Uhr - 12:00 Uhr
Donnerstag: 14:00 Uhr - 16:00 Uhr
Freitag: 08:30 Uhr - 12:30 Uhr
Am Donnerstag den 29.03.2018 ist eine
Einsichtnahme bis 18:00 Uhr möglich.
Zu der Planung wird auf Verlangen Auskunft gegeben. Einsichtnahmen oder eine fachliche Erörterung außerhalb der aufgeführten Zeiten sind nach Terminvereinbarung über die Bauverwaltung möglich. Sämtliche Planunterlagen stehen nachfolgend auch online zum Download bereit.
Begründung Bebauungsplan
Planzeichnung
Textliche Festsetzung
Bodengutachten - Anlage 1 - Anlage 2 - Anlage 3
Entwässerungsgutachten
Während der Auslegungsfrist können Stellungnahmen schriftlich oder zur Niederschrift bei der Gemeindeverwaltung Haßloch, Bauverwaltung, Rathausplatz 1, 2. OG, Zimmer 208 vorgetragen werden. Damit das Abwägungsergebnis mitgeteilt werden kann, sollte bei schriftlich abgegebenen Stellungnahmen die Anschrift des Verfassers enthalten sein. Nicht fristgerecht abgegebene Stellungnahmen können bei der Beschlussfassung über die Aufstellung des Bebauungsplans Nr. 99 „Zwischen Richard-Wagner-Straße und Deidesheimer Weg“ gemäß § 4a Abs. 6 BauGB unberücksichtigt bleiben.
Das Ergebnis der Öffentlichkeitsbeteiligung ist im weiteren Planaufstellungsverfahren zu berücksichtigen.
Haßloch, den 02.03.2018
gez. Lothar Lorch
Bürgermeister
